Мэрия Кемерова утвердила строительство жилого квартала в Ленинском районе

Мэрия Кемерова утвердила строительство жилого квартала в Ленинском районе

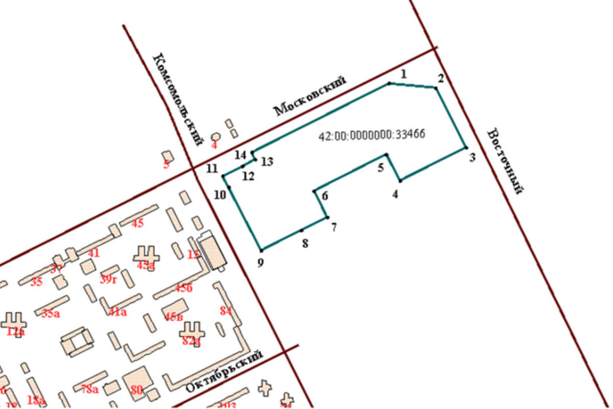
Новая жилая территория займет 11 га и расположится между проспектами Комсомольский, Московский, Восточный и микрорайоном 61/2. Согласно постановлению, срок реализации проекта составит 10 лет после заключения договора с инвестором-застройщиком, которого пока не выбрали.

Проектом предусмотрено строительство многоэтажных жилых домов, образовательных учреждений, объектов здравоохранения и социальной инфраструктуры, а также административных и коммунальных зданий.

Помимо микрорайона 61/1, в Ленинском районе планируется развитие соседних участков — 61/2, 62/1 и 62/2. Их общая площадь сопоставима с новым проектом.

Ранее сообщалось, что в Заискатимье найдены застройщики только для восьми из одиннадцати запланированных микрорайонов. Власти продолжают искать партнеров для реализации оставшихся проектов.

Что еще почитать

В регионах

Новости региона

Все новости

Новости

Самое читаемое

...
Сегодня
...
...
...
...
Ощущается как ...

Автовзгляд

Womanhit

Охотники.ру